Cây điều của bà con đang bước vào giai đoạn ra chồi non – thời điểm vàng son quyết định năng suất của cả vụ, nhưng đây cũng chính là mục tiêu tấn công hàng đầu của bọ trĩ hại điều.
Bài viết này, dưới góc nhìn của các chuyên gia nông nghiệp và dẫn chứng khoa học thực tế, sẽ thẳng thắn lật tẩy những sai lầm trong phòng trừ bọ trĩ hại điều và đưa ra một lộ trình Quản lý Dịch hại Tổng hợp (IPM) khoa học, bền vững. Mục tiêu là giúp bà con bảo vệ chồi non điều một cách triệt để, đảm bảo vụ mùa thắng lợi mà vẫn giữ được sự cân bằng của hệ sinh thái vườn điều.
Contents
Trước hết chúng ta phải hiểu rõ về kẻ thù. Bọ trĩ hại điều (tên khoa học phổ biến là Scirtothrips dorsalis) là một loại côn trùng nhỏ bé nhưng có sức tàn phá kinh khủng.
Theo các nghiên cứu từ Viện Nghiên cứu Cây trồng, vòng đời của bọ trĩ rất ngắn, chỉ khoảng 12-25 ngày tùy điều kiện nhiệt độ. Đây là nguyên nhân khiến chúng sinh sôi và bùng phát rất nhanh.
Bà con ít ai biết, bọ trĩ phát triển mạnh mẽ nhất trong điều kiện thời tiết khô hạn, nóng ấm và thiếu mưa.
Sự tàn phá của bọ trĩ hại điều không chỉ là tức thời mà còn để lại hậu quả lâu dài cho cây điều.
Bọ trĩ chích hút nhựa cây tại các tế bào biểu bì non. Sự chích hút này không chỉ làm cây mất dinh dưỡng mà còn tạo ra các vết thương hở.
Sự gây hại của bọ trĩ hại điều không chỉ dừng lại ở việc làm giảm năng suất của mùa vụ hiện tại mà còn ảnh hưởng đến khả năng ra hoa kết trái của vụ sau.

Trong nhiều năm qua, đa số bà con đã quen với một phương pháp phòng trừ bọ trĩ mang tính đối phó, thiếu bền vững. Đây chính là nguồn gốc của sự thất bại.
Ngay khi thấy dấu hiệu đầu tiên của bọ trĩ (vết sương trắng trên lá), bà con thường có xu hướng sử dụng các hoạt chất hóa học với liều lượng cao hơn khuyến cáo và phun dồn dập, cách nhau 3-5 ngày/lần.
“Nhiều nông dân tin rằng, chỉ có thuốc mạnh và phun dồn dập mới tiêu diệt triệt để được bọ trĩ, bất chấp chi phí và độc hại. Sự lo lắng mất mùa đã đẩy bà con vào vòng xoáy lạm dụng hóa chất.”
Một sai lầm phổ biến khác là sự chủ quan ở giai đoạn đầu. Khi lá mới xuất hiện vết sương trắng hoặc chấm nhỏ, nhiều bà con nghĩ rằng mức độ gây hại chưa đáng kể và trì hoãn việc xử lý.
Tuy nhiên, đây chính là lúc mật độ bọ trĩ đang ở giai đoạn tăng trưởng theo cấp số nhân, và khi chúng ta quyết định phun, thì quần thể đã quá lớn, rất khó để kiểm soát triệt để bằng một lần phun.
Một số vườn điều để mật độ cây quá dày, không thực hiện việc tỉa cành, tạo tán thường xuyên. Vườn cây rậm rạp, thiếu ánh sáng và ẩm thấp là môi trường lý tưởng để bọ trĩ hại điều sinh sôi và ẩn nấp, khiến hiệu quả của việc phun thuốc bị giảm đi rất nhiều.
Việc lạm dụng hóa chất liều cao, thường xuyên không chỉ tốn kém mà còn ẩn chứa những hậu quả sinh thái và kinh tế lâu dài.
Đây là hậu quả nghiêm trọng nhất. Do vòng đời ngắn và khả năng sinh sản nhanh, bọ trĩ gây hại cây điều có khả năng phát triển tính kháng thuốc cực kỳ nhanh chóng.
Mặc dù có phun dồn dập, nhưng nếu không phun đúng kỹ thuật và không quản lý được vòng đời, bọ trĩ sẽ liên tục tái nhiễm. Chỉ cần sót lại một vài cá thể cái, chúng sẽ nhanh chóng đẻ trứng và tạo ra một thế hệ mới.
Hóa chất phổ rộng tiêu diệt cả thiên địch (như Ong ký sinh, Bọ rùa, Nhện bắt mồi) – những ‘người bạn’ giúp kiểm soát tự nhiên mật độ bọ trĩ hại điều. Điều này làm mất cân bằng sinh học, khiến dịch hại bùng phát dữ dội hơn sau mỗi lần phun (hiện tượng bùng phát trở lại).
Chi phí mua thuốc, nhân công phun thuốc tăng cao, giảm lợi nhuận và có thể gây hại cho người phun và ảnh hưởng đến sức khỏe người tiêu dùng.
Phun thuốc hóa học quá mức, đặc biệt là các hoạt chất có tính nóng, có thể gây nóng, cháy chồi non và lá non, làm chậm quá trình phát lộc của cây điều. Thậm chí, việc phun thuốc đôi khi lại làm hại cây nhiều hơn là làm hại bọ trĩ.
Chúng ta tiếp tục đến phần giải pháp với chiến lược Quản lý Dịch hại Tổng hợp (IPM) – đây là con đường duy nhất để giải quyết vấn đề bọ trĩ hại điều một cách triệt để, bền vững và hiệu quả kinh tế. IPM là sự kết hợp hài hòa giữa canh tác, sinh học và hóa học có chọn lọc.
Mục tiêu là làm cho vườn điều không còn là “ngôi nhà” lý tưởng cho bọ trĩ.
Trong kỷ nguyên nông nghiệp bền vững, việc giảm thiểu hóa chất và tối đa hóa khả năng phòng vệ tự nhiên của hệ sinh thái là yếu tố then chốt. Biện pháp sinh học không chỉ là một sự thay thế, mà là chiến lược nền tảng để tạo ra sản phẩm sạch, bảo vệ sức khỏe người tiêu dùng và duy trì sự cân bằng của đất đai.
Vai trò quyết định của nó thể hiện rõ trong việc kiểm soát các loài dịch hại khó trị như bọ trĩ, nơi mà các phương pháp hóa học truyền thống đang dần mất hiệu quả và để lại dư lượng độc hại.
Tăng Cường Hiệu Quả Phòng Trừ Bằng Vi Sinh Vật Đối Kháng
Giải pháp nằm ở việc sử dụng các chủng nấm có khả năng ký sinh và tiêu diệt chúng. Các chủng nấm này được xem là “vũ khí sinh học” cực kỳ chuyên biệt, chỉ nhắm vào côn trùng gây hại mà không ảnh hưởng đến thiên địch hay môi trường.
Nấm đối kháng có khả năng bám dính, nảy mầm và xâm nhập qua lớp biểu bì của bọ trĩ, làm tê liệt, tiêu diệt bọ trĩ từ bên trong, giúp hiệu quả nhanh chóng. Các chủng nấm này được AT nghiên cứu và phát triển dưới dạng chế phẩm sinh học, dễ dàng phun xịt cho cây điều phòng ngừa bọ trĩ.
Bà con hãy an tâm lựa chọn giải pháp sinh học vì tính an toàn tuyệt đối với cây trồng, bà con nông dân và các loài thiên địch (nhện, bọ rùa). Đặc biệt không để lại dư lượng hóa học độc hại, phù hợp cho canh tác hữu cơ và xuất khẩu.
Bà con cần hạn chế tối đa việc sử dụng hóa chất phổ rộng để bảo tồn quần thể thiên địch. Đôi khi, một vườn điều có sự cân bằng sinh học tốt có thể tự kiểm soát được bọ trĩ mà không cần can thiệp hóa học.
“Giải pháp bền vững nhất là sử dụng các chế phẩm sinh học. Chúng không chỉ diệt bọ trĩ mà còn giúp duy trì quần thể thiên địch, tạo ra một hệ sinh thái tự cân bằng, làm nền tảng vững chắc cho việc quản lý dịch hại lâu dài.”
Hóa học chỉ là giải pháp cuối cùng, được sử dụng như một công cụ hỗ trợ khi dịch hại bùng phát ngoài tầm kiểm soát của biện pháp sinh học và canh tác.
Ưu tiên lựa chọn các hoạt chất có tính chọn lọc, ít độc, ít ảnh hưởng đến thiên địch và môi trường.
Có thể luân phiên sử dụng các nhóm hoạt chất mới, cơ chế khác nhau để ngăn ngừa tính kháng thuốc
Anh Nguyễn Văn Thứ, chủ vườn điều 5ha tại tỉnh Bình Phước, một trong những thủ phủ điều của cả nước, đã từng trải qua những năm tháng khó khăn vì bọ trĩ hại điều.
Tình trạng trước đây: Vườn điều lâu năm của anh Thứ từng thất bại liên tiếp 3 vụ vì bọ trĩ. Năng suất chỉ đạt khoảng 12-15 tạ/ha. Anh thường xuyên phải phun thuốc hóa học, mỗi vụ chi phí thuốc và nhân công đội lên tới 8-10 triệu đồng/ha, nhưng năng suất vẫn không cải thiện.
Sau khi tham gia các buổi tập huấn chuyên sâu về IPM, anh Thứ đã có một quyết định đột phá: Chuyển sang mô hình IPM và sử dụng các sản phẩm sinh học, cụ thể là Mebe Bt
Chỉ sau 2 năm áp dụng giải pháp IPM, năng suất vườn điều của anh Thứ đã tăng vượt trội, đạt 19-21 tạ/ha, tức là tăng trưởng 40-50% so với trước đây.

Trả lời: Giai đoạn cây điều ra lộc non (chồi non) và ra hoa là lúc dễ bị bọ trĩ tấn công nhất. Đây là thời điểm chúng tìm kiếm mô thực vật mềm, giàu dinh dưỡng để chích hút và đẻ trứng. Bà con cần theo dõi và phòng ngừa chủ động từ lúc chồi non bắt đầu nhú.
Trả lời: Không nhé, ngược lại, sử dụng biện pháp sinh học giúp kiểm soát bọ trĩ hiệu quả, nhưng quan trọng là chúng bảo vệ được các loài thiên địch, duy trì cân bằng sinh học, và không gây hại, làm cháy chồi non như hóa chất, từ đó giúp cây điều phát triển khỏe mạnh hơn.
Trả lời:
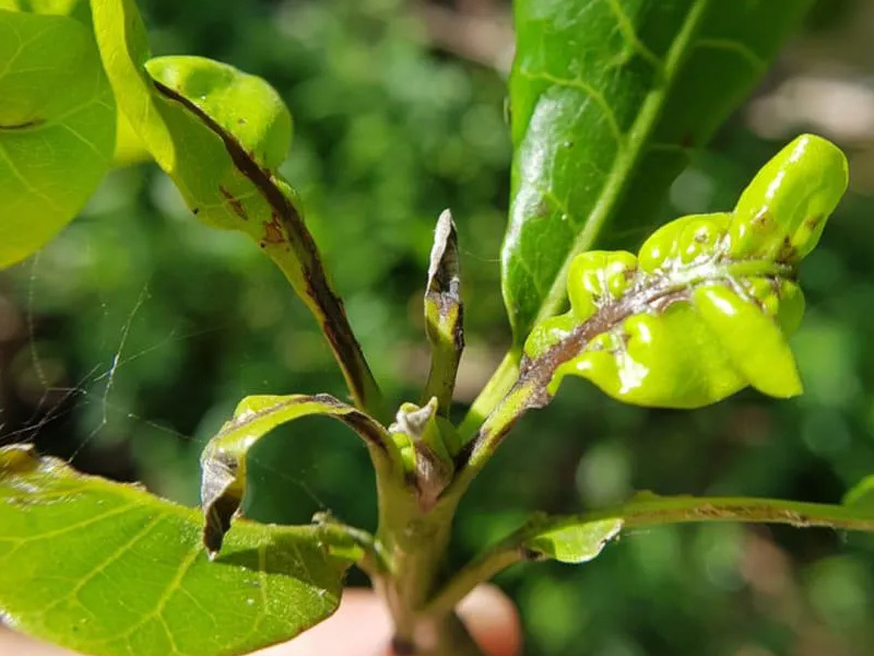
Trên chồi non: Quan sát kỹ sẽ thấy các vết chích hút màu bạc, sương trắng, sau đó chồi non bị xoắn lại, chai cứng và khô đen ở đầu ngọn.
Trên hoa: Hoa sẽ có các vết sần sùi, nâu đen. Quan sát bằng kính lúp hoặc lắc nhẹ chùm hoa vào lòng bàn tay sẽ thấy các cá thể bọ trĩ nhỏ li ti màu vàng hoặc đen rơi ra. Hoa bị nhiễm nặng sẽ rụng hàng loạt và không thể đậu trái.
Trả lời: Để nấm phát huy tác dụng tốt nhất, bà con nên phun dung dịch chứa bào tử nấm vào các vị trí bọ trĩ thường ẩn nấp (mặt dưới lá non, trong các chùm hoa). Đặc biệt, nên phun vào lúc chiều mát (sau 4 giờ chiều) hoặc sáng sớm, vì bào tử nấm cần độ ẩm cao và tránh ánh nắng trực tiếp để nảy mầm và ký sinh.
Thưa bà con, đã đến lúc chúng ta phải chấm dứt vòng luẩn quẩn của bọ trĩ hại sầu riêng. Hãy chuyển sang một lộ trình quản lý dịch hại tổng hợp lấy biện pháp sinh học làm trung tâm, kết hợp với canh tác khoa học, và chỉ dùng hóa học khi thực sự cần thiết.
Đây không chỉ là cách để bảo vệ chồi non điều của vụ này, mà còn là nền tảng để xây dựng một vườn điều khỏe mạnh, năng suất cao và bền vững cho các thế hệ sau.
Chúc bà con một vụ mùa thắng lợi!
✅ Sản phẩm sinh học 100% an toàn
✅ Tư vấn kỹ thuật miễn phí
✅ Hỗ trợ 24/7 trong quá trình sử dụng
Liên hệ ngay: 0972 563 448
Website: phanthuocvisinh.vn
Youtube : Phân Thuốc Vi Sinh AT
Fanpage: https://www.facebook.com/phanthuocvisinh1/
Giỏ hàng của bạn hiện tại chưa có sản phẩm nào.